Scott's Orchard Spring 2012
Index
Previous
41 of 79
Next
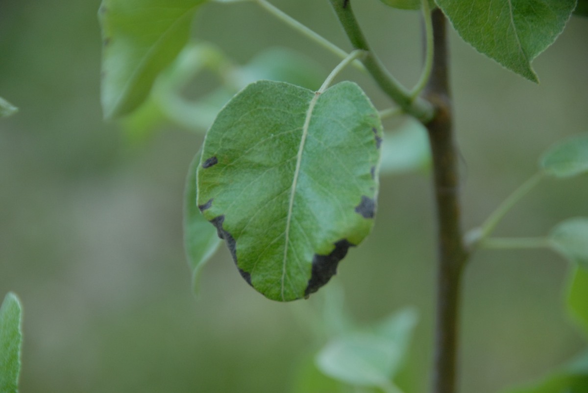
Caption: Pear leaf singed by fireblight