Scott's Orchard Spring 2012
Index
Previous
52 of 79
Next
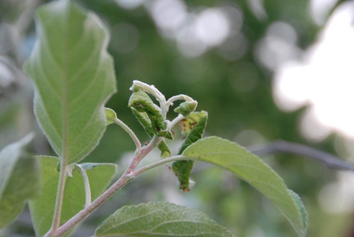
Caption: Rosy apple aphids